Leilão Imóvel

Parceiro

Auket - Hub Imobiliário

Filtros

Localidade



Tipos de imóvel


Preço


Desconto (%)


Forma de Pagamento


Imóveis Caixa


Modalidade


Bancos


Data Leilão


Data de inclusão



Entre em contato conosco!

Em breve um de nossos representantes entrará em contato com você.

Forma de Contato Preferida*

Forma de pagamento*

*Campos obrigatórios, preencha-os para enviar a mensagem

Muito obrigado pelo contato!
Você receberá um email com mais informações para entrar em contato com o Leiloeiro

Deseja mesmo excluir esta anotação ?

Uma vez excluida, não é possivel recupera-la.

R$ 223.650,00

Casas em Leilão em Campo Grande / MS - 2609114

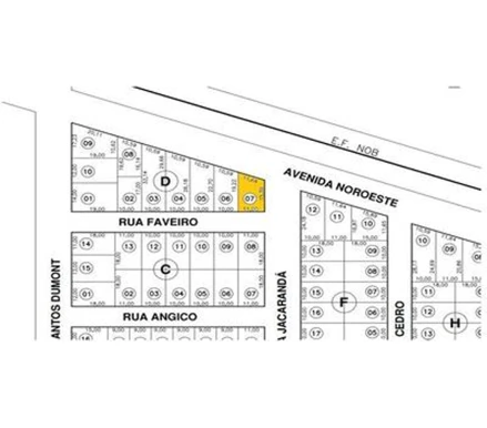
Rua Jacarandá, 173 - Parque Residencial Cabreúva em Campo Grande/MS


Valor do Imóvel

R$ 223.650,00

Mais sobre o imóvel

À vista

1° Praça:

10/12/2025 às 16:30

R$ 223.650,00

Casas em Leilão em Campo Grande / MS - 2609114

Rua Jacarandá, 173 - Parque Residencial Cabreúva em Campo Grande/MS

Detalhes do Imóvel

Área Total:

Área Total 190,36 m²

Área Útil:

Área Útil 130,89 m²

Situação:

Situação Desocupado
Documentos

Verificar no site do Leiloeiro

Mais sobre o Imóvel
Leiloeiro: Barreto Leilões
Código Imóvel: 2609114
Data de Inclusão: 08/12/2025
Descrição: CASA RESIDENCIAL | A.T. 190,36M² E A.C. 130,89m² - CABREUVA | CAMPO GRANDE MS. DA DESCRIÇÃO DO IMÓVEL : Lote de terreno urbano determinado n° 07 da quadra D, localizado na Rua Jacarandá, 173, situado no loteamento Parque Residencial Cabreúva no município de Campo Grande - MS. Dispões de 190,36M² de área superficial, sendo um terreno irregular com três frentes. Sobre o dito lote está edificada uma casa residencial com área construída estimada de 130,89 m². Matrícula 60.820 do CRI de Campo Grande/MS. ENDEREÇO DO IMÓVEL: Rua Jacarandá, 173 - Parque Residencial Cabreúva em Campo Grande/MS. IMÓVEL IMOBILIZADO DA COOPERATIVA LEILÃO EMPRESARIAL SISTÊMICO | VALOR ALVO: R$ 447.300,00 Situação: Ocupado | Área de Terreno: 190,36m² | Área Construída: 130,89m² | Permite visitação: Sim | Débitos: Não| Ação Judicial: Não Regularizações e encargos perante os órgãos competentes, correrão por conta do(a) comprador(a). A responsabilidade de eventual levantamento topográfico e memorial descritivo do terreno, serão por conta do(a) comprador(a). Desocupado. Eventual desocupação por conta do(a) comprador(a). DAS CONDIÇÕES DE PAGAMENTO: À VISTA: pagamento do valor total da arrematação, acrescido de 5% (cinco por cento) de comissão do Sr. Leiloeiro a ser paga pelo(a) arrematante, no prazo de 24 (vinte e quatro) horas após o leilão. MEDIANTE CRÉDITO JUNTO AO VENDEDOR/COMITENTE: cuja aprovação estará sujeita aos critérios e políticas da Cooperativa, devendo encaminhar a referida solicitação ao e-mail: [email protected] MEDIANTE CRÉDITO JUNTO A OUTRA INSTITUÇÃO FINANCEIRA/ COOPERATIVA DE ESCOLHA DO COMPRADOR: cuja carta ou linha de crédito autorizada deverá ser encaminhada à Equipe do Leiloeiro Oficial. O lance vencedor, independentemente do valor, será recebido na forma CONDICIONAL e será submetido à posterior análise e homologação do vendedor, no prazo de até 24 horas após o encerramento do pregão. Para maiores informações ou esclarecimentos, entrar em contato com os canais de atendimento do Leiloeiro Público Oficial: Telefone: (67) 3204-2574 (Fixo e WhatsApp). E-mail: administrativo @barretoleiloes.com.br

Imóveis em leilão nas cidades vizinhas de Campo Grande/MS: