Leilão Imóvel

Parceiro

Auket - Hub Imobiliário

Filtros

Localidade



Tipos de imóvel


Preço


Desconto (%)


Forma de Pagamento


Imóveis Caixa


Modalidade


Bancos


Data Leilão


Data de inclusão



Entre em contato conosco!

Em breve um de nossos representantes entrará em contato com você.

Forma de Contato Preferida*

Forma de pagamento*

*Campos obrigatórios, preencha-os para enviar a mensagem

Muito obrigado pelo contato!
Você receberá um email com mais informações para entrar em contato com o Leiloeiro

Deseja mesmo excluir esta anotação ?

Uma vez excluida, não é possivel recupera-la.

R$ 764.713,83

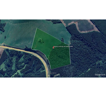
Rural em Leilão em Ortigueira / PR - 2604943

Rodovia PR 340, Fazenda dos Leais


Valor avaliado

R$ 1.529.427,66

Valor do Imóvel

R$ 764.713,83

50%
Mais sobre o imóvel

À vista

2ª Praça

27/01/2026 às 14:00

R$ 764.713,83

Rural em Leilão em Ortigueira / PR - 2604943

Rodovia PR 340, Fazenda dos Leais

Mais sobre o Imóvel
Localização: PR /Ortigueira
Leiloeiro: Je Leilões
Código Imóvel: 2604943
Data de Inclusão: 04/12/2025
Descrição: Área de Terras com 20,203 8 ha (vinte virgula vinte e trinta e oito hectares ), situado s no imóvel denominado Colônia Augusta Vitória, Rodovia PR 340, Fazenda dos Leais, do Município de Ortigueira, com as divisas e confrontações constantes na Matrícula sob nº 10.582 do Registro de Imóveis da Comarca de Ortigueira, Estado do Paraná. Inscrito no INCRA sob o nº 999.911.326.780-1. Referidos bens se encontram depositados nas mãos da executada HELDE DUKINO CIONEK, como fiel depositária, até ulterior deliberação. ÔNUS: R.01/10.582 - Hipoteca em favor de COCARI - COOPERATIVA AGROPECUÁRIA E INDUSTRIAL; Av.02/10.582 - Indisponibilidade de bens referente aos autos de nº 00475177420198160014, em trâmite perante a 9ª Vara Cível de Londrina; R.03/10.582 - Penhora em favor de COCARI - COOPERATIVA AGROPECUÁRIA E INDUSTRIAL, referente aos autos de nº 0004142-92.2020.8.16.0109, em trâmite perante a Vara Cível de Mandaguari; R.01/10.290 - Hipoteca em favor do BANCO DO BRASIL S/A; Av.02/10.290 - Indisponibilidade de bens referente aos autos de nº 00475177420198160014, em trâmite perante a 9ª Vara Cível de Londrina; R.03/10.290 - Penhora em favor de COCARI - COOPERATIVA AGROPECUÁRIA E INDUSTRIAL, referente aos autos de nº 0004142-92.2020.8.16.0109, em trâmite perante a Vara Cível de Mandaguari; R.04/10.290 - Penhora em favor de CARRASCO, GIRALDELI & ADVOGADOS ASSOCIADOS, referentes aos autos de nº 0001620-92.2020.8.16.0109 em trâmite perante a Vara Cível de Mandaguari; R.01/10.289 - Hipoteca em favor do BANCO DO BRASIL; R.02/10.289 - Penhora em favor de BELAGRÍCOLA COM. E REP. DE PRODUTOS AGRÍCOLAS LTDA., referente aos autos de nº 0038348-34.2017.8.16.0014 em trâmite perante a 9ª Vara Cível de Londrina; Av.03/10.289 - Indisponibilidade de bens referente aos autos de nº 00475177420198160014, em trâmite perante a 9ª Vara Cível de Londrina; R.04/10.289 - Penhora em favor de COCARI - COOPERATIVA AGROPECUÁRIA E INDUSTRIAL, referente aos autos de nº 0004142-92.2020.8.16.0109, em trâmite perante a Vara Cível de Mandaguari; R.01/10.283 - Hipoteca em favor do BANCO SANTANDER BRASIL S/A; Av.02/10.283 - Indisponibilidade de bens referente aos autos de nº 00475177420198160014, em trâmite perante a 9ª Vara Cível de Londrina; R.03/10.283 - Penhora em favor de COCARI - COOPERATIVA AGROPECUÁRIA E INDUSTRIAL, referente aos autos de nº 0004142-92.2020.8.16.0109, em trâmite perante a Vara Cível de Mandaguari; R.01/10.282 - Hipoteca em favor do BANCO SANTANDER BRASIL S/A; R.02/10.282 - Penhora em favor de BELAGRÍCOLA COM. E REP. DE PRODUTOS AGRÍCOLAS LTDA., referente aos autos de nº 0038348-34.2017.8.16.0014 em trâmite perante a 9ª Vara Cível de Londrina; Av.03/10.282 - Averbação Premonitória de existência de Ação de Execução de Título Extrajudicial sob o nº 0029304-83.2020.8.16.0014, em trâmite perante a 2ª Vara Cível de Londrina; Av.04/10.282 - Indisponibilidade de bens referente aos autos de nº 00475177420198160014, em trâmite perante a 9ª Vara Cível de Londrina; R.05/10.282 - Penhora em favor de COCARI - COOPERATIVA AGROPECUÁRIA E INDUSTRIAL, referente aos autos de nº 0004142-92.2020.8.16.0109, em trâmite perante a Vara Cível de Mandaguari; R.06/10.282 - Penhora em favor de Sementes CRA Produção e Comércio Ltda., referente aos autos de nº 0029304-83.2020.8.16.0014, em trâmite perante a 2ª Vara Cível de Londrina, conforme matrículas imobiliárias juntadas no evento 235. Benfeitorias não averbadas na matrícula imobiliária, eventual regularização por conta do arrematante. Em caso de arrematação de bem imóvel ou veículos automotores ou outros bens dependentes de registro no órgão competente, para expedição da respectiva carta, deverá o arrematante recolher as custas referente à expedição da Carta de Arrematação, bem como comprovar o pagamento do Imposto de Transmissão de Bens Imóveis - ITBI, para bens móveis, recolhimento da GRC para cumprimento do Mandado de Entrega; é obrigação do arrematante arcar com os tributos cujos fatos geradores ocorrerem após a data da expedição da carta de arrematação. Apesar que na matricula conste. OBSERVAÇÃO: Os bens serão adquiridos livres e desembaraçados de quaisquer ônus, até a data da expedição da respectiva Carta de Arrematação ou Mandado de Entrega - (Artigo 908, parágrafo 1º do CPC e Artigo 130, parágrafo único do CTN). OBSERVAÇÃO 1: Consoante o disposto no artigo 892 do Novo Código de Processo Civil, a arrematação far-se-á mediante o pagamento imediato do preço pelo arrematante, por depósito judicial ou por meio eletrônico. Artigo 895 do Novo Código de Processo Civil: O interessado em adquirir o bem penhorado em prestações poderá apresentar, por escrito: I - até o início do primeiro leilão, proposta de aquisição do bem por valor não inferior ao da avaliação; II - até o início do segundo leilão, proposta de aquisição do bem por valor que não seja considerado vil”; §1º A proposta conterá, em qualquer hipótese, oferta de pagamento de pelo menos 25% (vinte e cinco por cento) do valor do lance à vista e o restante parcelado em até 30 (trinta) meses, garantido por caução idônea, quando se tratar de móveis, e por hipoteca do próprio bem, quando se tratar de imóveis. §2º As propostas para aquisição em prestações indicarão o prazo, a modalidade, o indexador de correção monetária e as condições de pagamento do saldo. As parcelas serão atualizadas pela média aritmética simples dos índices INPC e IGP-DI - (Decreto nº 1544/1995), a partir da data da arrematação. § 4º No caso de atraso no pagamento de qualquer das prestações, incidirá multa de dez por cento sobre a soma da parcela inadimplida com as parcelas vincendas. § 5º O inadimplemento autoriza o exequente a pedir a resolução da arrematação ou promover, em face do arrematante, a execução do valor devido, devendo ambos os pedidos ser formulados nos autos da execução em que se deu a arrematação. Assinalo, ainda, que a apresentação de proposta escrita de arrematação, mediante prestações não suspende o leilão e somente prevalecerá caso inexistente proposta de pagamento do lance à vista. Inexistindo proposta de pagamento à vista e havendo mais de uma proposta de pagamento parcelado, estas deverão ser submetidas a apreciação deste juízo, sendo que prevalecerá a proposta de maior valor, ou em iguais condições, a formulada em primeiro lugar (art. 895, § 8º, I e II, NCPC). A ordem de entrega do bem móvel ou a carta de arrematação do bem imóvel, com o respectivo mandado de imissão na posse, será expedida somente depois de efetuado o depósito ou prestadas as garantias pelo arrematante, bem como realizado o pagamento da comissão do leiloeiro e das demais despesas da execução (art. 901, § 1º, NCPC). OBSERVAÇÃO 2: Qualquer que seja a modalidade de leilão, assinado o auto pelo juiz, pelo arrematante e pelo leiloeiro, a arrematação será considerada perfeita, acabada e irretratável, ainda, ainda que venham a ser julgados procedentes os embargos do executado ou a ação autônoma de que trata o § 4º deste artigo, assegurada a possibilidade de reparação pelos prejuízos sofridos (artigo 903 do Novo Código de Processo Civil). COMISSÃO DO LEILOEIRO: em caso de adjudicação, 2% sobre o valor da avaliação, a ser pago pela parte exequente; em caso de arrematação, 5% sobre o valor dos bens, a ser pago pelo arrematante; em caso de remição, 2% sobre o valor da avaliação, a ser pago pela parte executada; e, finalmente, em caso de acordo ou pagamento da dívida realizado no prazo de 05 (cinco) dias antes da efetivação do leilão, 2% sobre o valor da transação/pagamento a ser pago pelo executado

Imóveis em leilão nas cidades vizinhas de Ortigueira/PR: