Leilão Imóvel

Parceiro

Auket - Hub Imobiliário

Filtros

Localidade



Tipos de imóvel


Preço


Desconto (%)


Forma de Pagamento


Imóveis Caixa


Modalidade


Bancos


Data Leilão


Data de inclusão



Entre em contato conosco!

Em breve um de nossos representantes entrará em contato com você.

Forma de Contato Preferida*

Forma de pagamento*

*Campos obrigatórios, preencha-os para enviar a mensagem

Muito obrigado pelo contato!
Você receberá um email com mais informações para entrar em contato com o Leiloeiro

Deseja mesmo excluir esta anotação ?

Uma vez excluida, não é possivel recupera-la.

R$ 247.500,00

Casas em Leilão no Rio De Janeiro / RJ - 2580988

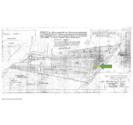
Estrada Vereador Alceu de Carvalho, número 65, Vargem Grande


Valor avaliado

R$ 495.000,00

Valor do Imóvel

R$ 247.500,00

50%
Mais sobre o imóvel

À vista

1° Praça:

10/12/2025 às 09:00

R$ 247.500,00

Casas em Leilão no Rio De Janeiro / RJ - 2580988

Estrada Vereador Alceu de Carvalho, número 65, Vargem Grande

Documentos
Mais sobre o Imóvel
Tipo: Casa /Judicial
Leiloeiro: Marco Antonio Leiloeiro
Código Imóvel: 2580988
Data de Inclusão: 18/11/2025
Descrição: Casa autônoma nº 13, equivalente a 1/16 avos do terreno de matricula de matrícula 172.488 (CRI - 9º Of. Rio de Janeiro), localizada na Estrada Vereador Alceu de Carvalho, número 65, Vargem Grande, Rio de Janeiro/RJ, CEP 22.785-620 (esquina com Estr. Cap. Pedro Afonso). Dentre as 16 casas geminadas do Condomínio, é a sétima à esquerda ao entrar pelo portão principal do Condomínio. Observação I: Pendente de individualização da matrícula junto ao Cartório de Registro de Imóveis competente, visto que não houve a abertura de matrícula da unidade autônoma. Observação II: Em que pese não constar da matrícula o registro da aquisição em nome do Executado CARLOS ALBERTO DE FREITAS ARAUJO JUNIOR, a comprovação da titularidade foi verificada pelo Juízo por meio de Escritura de Compra e Venda (ID 913009d (Pag. 59 a 67) | ID d430fdd). AVALIAÇÃO: R$ 495.000,00 (quatrocentos e noventa e cinco mil reais). Formas de pagamento À vista Utilização de carta de crédito não é permitido . Em até 10x Para o envio de propostas condicionais parceladas em até 10 parcelas, consulte as regras do edital. Localização e Proximidades Estrada Vereador Alceu de Carvalho, número 65, Vargem Grande, Rio de Janeiro - RJ