Leilão Imóvel

Parceiro

Auket - Hub Imobiliário

Filtros

Localidade



Tipos de imóvel


Preço


Desconto (%)


Forma de Pagamento


Imóveis Caixa


Modalidade


Bancos


Data Leilão


Data de inclusão



Entre em contato conosco!

Em breve um de nossos representantes entrará em contato com você.

Forma de Contato Preferida*

Forma de pagamento*

*Campos obrigatórios, preencha-os para enviar a mensagem

Muito obrigado pelo contato!
Você receberá um email com mais informações para entrar em contato com o Leiloeiro

Deseja mesmo excluir esta anotação ?

Uma vez excluida, não é possivel recupera-la.

R$ 295.000,00

Terreno Urbano em Leilão em Barracão / RS - 2584250

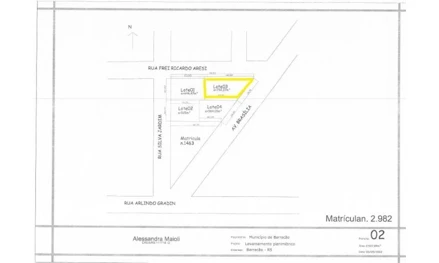
esquina entre a Rua Frei Ricardo Aresi, lado par e Avenida Brasília, lado ímpar


Valor do Imóvel

R$ 295.000,00

Mais sobre o imóvel

À vista

1° Praça:

12/12/2025 às 10:00

R$ 295.000,00

Terreno Urbano em Leilão em Barracão / RS - 2584250

esquina entre a Rua Frei Ricardo Aresi, lado par e Avenida Brasília, lado ímpar

Mais sobre o Imóvel
Localização: RS /Barracão
Tipo: Terreno /Outro
Leiloeiro: Cargnelutti Leilões
Código Imóvel: 2584250
Data de Inclusão: 19/11/2025
Descrição: Imóvel urbano, objeto da matrícula nº 3.956 do Ofício de Registro de Imóveis do Município de Barracão, com as seguintes características: uma área de terreno urbano, sob o nº 03, da Quadra nº 52, com a superfície de 792,37m² (setecentos e noventa e dois metros e trinta e sete decímetros quadrados), sem benfeitorias, na quadra formada pela Avenida Brasília, Rua Silva Jardim e Rua Frei Ricardo Aresi, nesta cidade de Barracão, localizada na esquina entre a Rua Frei Ricardo Aresi, lado par e Avenida Brasília, lado ímpar, confrontando: ao Norte, numa extensão de 46,29 metros, com a Rua Frei Ricardo Aresi; ao Sul, numa extensão de 30,67 metros, com o Lote nº 04 da Quadra nº 52; ao Leste, numa extensão de 26,11 metros, com a Avenida Brasília e ao Oeste, numa extensão de 20,37 metros com o Lote nº 01 da Quadra nº 52

Imóveis em leilão nas cidades vizinhas de Barracão/RS: