Leilão Imóvel

Parceiro

Auket - Hub Imobiliário

Filtros

Localidade



Tipos de imóvel


Preço


Desconto (%)


Forma de Pagamento


Imóveis Caixa


Modalidade


Bancos


Data Leilão


Data de inclusão



Entre em contato conosco!

Em breve um de nossos representantes entrará em contato com você.

Forma de Contato Preferida*

Forma de pagamento*

*Campos obrigatórios, preencha-os para enviar a mensagem

Muito obrigado pelo contato!
Você receberá um email com mais informações para entrar em contato com o Leiloeiro

Deseja mesmo excluir esta anotação ?

Uma vez excluida, não é possivel recupera-la.

À Consultar

Terreno Urbano em Capão Da Canoa / RS - 2339209

Rua Itália, lote 2, quadra 40, na praia da zona norte de Capão da Canoa, no município de Capão da Ca - /RS


Valor do Imóvel

À consultar

Mais sobre o imóvel

À vista

Terreno Urbano em Capão Da Canoa / RS - 2339209

Rua Itália, lote 2, quadra 40, na praia da zona norte de Capão da Canoa, no município de Capão da Ca - /RS

Detalhes do Imóvel

Área Total:

Área Total 144,80 m²

Situação:

Situação Ocupado
Documentos

Verificar no site do Leiloeiro

Mais sobre o Imóvel
Localização: RS /Capão da Canoa
Leiloeiro: Lance no Leilão
Código Imóvel: 2339209
Data de Inclusão: 01/07/2025
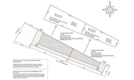
Descrição: ID98948 CAPÃO DA CANOA(RS) Descrição legal: Terreno urbano localizado na Rua Itália, lote 2, quadra 40, na praia da zona norte de Capão da Canoa, no município de Capão da Canoa (RS), sem edificação, melhor descrito na matrícula 122.131 do Registro de Imóveis de Capão da Canoa RS. a) O imóvel encontra-se ocupado por terceiros e as providências e eventuais despesas para regularização e desocupação do imóvel correrão por conta do adquirente, conforme item 16.8 deste Edital. b) Conforme croqui enviado pela Prefeitura e laudo de avaliação, foi constatado que uma parte do imóvel foi ocupado pela abertura de uma rua. Desta forma, a área do terreno que antes era de 325m² atualmente encontra-se com a área de 144,80m². Caso seja necessário a regularização da área da matrícula do imóvel os custos e todos os procedimentos ficarão por conta do adquirente OBSERVAÇÃO : ITEM 16.7 DO EDITAL: Existindo valores não quitados de IPTU, ITR, CCIR, laudêmio e condomínio, o Banco do Brasil S.A. ficará responsável pela quitação dos valores a vencer até a data efetiva do registro da transferência do imóvel ao arrematante junto ao Cartório de Registro de Imóveis competente (matrícula), desde que estas não estejam mencionadas especificamente no lote do bem como de responsabilidade do arrematante. Após a data da efetivação do registro da transferência do imóvel na matrícula, será de responsabilidade do comprador todos os débitos, inclusive parcelas a vencer de parcelamentos realizados. R$88.000,00 (oitenta e oito mil reais) ITEM 16.7 DO EDITAL: Existindo valores não quitados de IPTU, ITR, CCIR, laudêmio e condomínio, o Banco do Brasil S.A. ficará responsável pela quitação dos valores a vencer até a data efetiva do registro da transferência do imóvel ao arrematante junto ao Cartório de Registro de Imóveis competente (matrícula), desde que estas não estejam mencionadas especificamente no lote do bem como de responsabilidade do arrematante. Após a data da efetivação do registro da transferência do imóvel na matrícula, será de responsabilidade do comprador todos os débitos, inclusive parcelas a vencer de parcelamentos realizados. Endereço: Rua Itália, lote 2, quadra 40, na praia da zona norte de Capão da Canoa, no município de Capão da Ca - /RS

Imóveis em leilão nas cidades vizinhas de Capão da Canoa/RS: