Leilão Imóvel

Parceiro

Auket - Hub Imobiliário

Filtros

Localidade



Tipos de imóvel


Preço


Desconto (%)


Forma de Pagamento


Imóveis Caixa


Modalidade


Bancos


Data Leilão


Data de inclusão



Entre em contato conosco!

Em breve um de nossos representantes entrará em contato com você.

Forma de Contato Preferida*

Forma de pagamento*

*Campos obrigatórios, preencha-os para enviar a mensagem

Muito obrigado pelo contato!
Você receberá um email com mais informações para entrar em contato com o Leiloeiro

Deseja mesmo excluir esta anotação ?

Uma vez excluida, não é possivel recupera-la.

R$ 187.500,00

Terreno Urbano em Leilão em Balneário Rincão / SC - 2670486

Rua Vanor Amador Fernandes, n. 527


Valor do Imóvel

R$ 187.500,00

50%
Mais sobre o imóvel

À vista

1° Praça:

17/03/2026 às 14:15

R$ 187.500,00

2ª Praça

24/03/2026 às 14:15

R$ 93.750,00

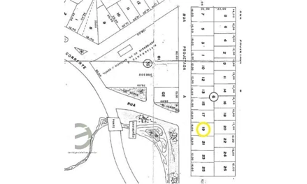
Terreno Urbano em Leilão em Balneário Rincão / SC - 2670486

Rua Vanor Amador Fernandes, n. 527

Detalhes do Imóvel

Área Total:

Área Total 288,00 m²
Mais sobre o Imóvel
Leiloeiro: Daniel Garcia Leilões
Código Imóvel: 2670486
Data de Inclusão: 27/01/2026
Matrícula: 16.572
Comarca: ICARA/SC
Ofício: 1
Descrição: Item 001: [ITEM RETIRADO] - IMÓVEL Cidade: Balneário Rincão/SC Endereço: 01) 01 (um) terreno urbano, correspondente ao lote n. 08, da quadra n. 126, do Loteamento Consórcio Econômico Criciumense - Zona Sul, situado a Rua Vanor Amador Fernandes, n. 527, esquina com Rua Pedro Luiz Fernandes, Zona Sul, em Balneário Rincão/SC, com área de 288,00m², e as seguintes confrontações: Norte, 12,00m, com a Rua n. 40; Sul, 12,00m, com parte do lote n. 23; Leste, 24,00m, com o lote n. 06 e a Oeste, 24,00m com a Rua n. 61, matriculado sob o n. 16.572 no Ofício de Registro de Imóveis de Içara/SC. Obs.: sobre o referido terreno encontra-se edificada uma casa de alvenaria com aproximadamente 130,00m² e uma área de serviço com aproximadamente 10,00m². Ônus: penhorado nos autos n. 5005408-41.2024.8.24.0020, que tramita na 2ª Vara Cível de Criciúma/SC. Avaliado R$ 550.000,00, em 06/08/25, corrigido R$ 553.200,00, em 31/12/25; Item 002: Terreno Cidade: Jaguaruna/SC Endereço: 02) 01 (um) terreno urbano, correspondente ao lote n. 19, da quadra n. 06, do Loteamento Cascata Vermelha, situado a Rua 13 de Maio, Balneário Arroio Corrente, em Jaguaruna/SC, com área de 286,00m², medindo 13,00m de frente por 22,00m da frente aos fundos, com as seguintes confrontações: Frente ao Sul com a Rua Projetada A; Fundos ao Norte com o lote n. 20; Extremando de um lado ao Oeste com o lote n. 17 e de outro lado ao Leste com o lote n. 21, matriculado sob o n. 12.658 no Ofício de Registro de Imóveis de Jaguaruna/SC. Obs.: trata-se de um terreno plano, sem benfeitorias, situado a aproximadamente 500,00m do mar, em rua não pavimentada. Ônus: penhorado nos autos n. 5005408-41.2024.8.24.0020, que tramita na 2ª Vara Cível de Criciúma/SC. Avaliado R$ 186.000,00, em 01/07/25, corrigido R$ 187.500,00, em 31/12/25