Leilão Imóvel

Parceiro

Auket - Hub Imobiliário

Filtros

Localidade



Tipos de imóvel


Preço


Desconto (%)


Forma de Pagamento


Imóveis Caixa


Modalidade


Bancos


Data Leilão


Data de inclusão



Entre em contato conosco!

Em breve um de nossos representantes entrará em contato com você.

Forma de Contato Preferida*

Forma de pagamento*

*Campos obrigatórios, preencha-os para enviar a mensagem

Muito obrigado pelo contato!
Você receberá um email com mais informações para entrar em contato com o Leiloeiro

Deseja mesmo excluir esta anotação ?

Uma vez excluida, não é possivel recupera-la.

R$ 6.246.139,97

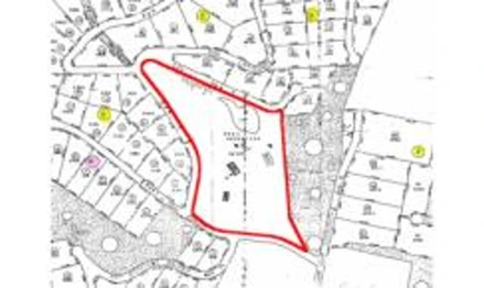
Chácaras em Leilão em Atibaia / SP - 2504876

Rua 01, Lot. Rancho Maringá, Gleba 01, quadra D, Bairro Portão


Valor do Imóvel

R$ 6.246.139,97

Mais sobre o imóvel

À vista

1° Praça:

12/11/2025 às 11:00

R$ 6.246.139,97

Chácaras em Leilão em Atibaia / SP - 2504876

Rua 01, Lot. Rancho Maringá, Gleba 01, quadra D, Bairro Portão

Mais sobre o Imóvel
Localização: SP /Atibaia
Leiloeiro: Giordano Leilões
Código Imóvel: 2504876
Data de Inclusão: 06/10/2025
Descrição: Chácara c/ 58.255m², c/ casa sede c/ piscina, sauna, vestiário e quadra de tênis, 03 casas de empregados, Rua 01, Lot. Rancho Maringá, Gleba 01, quadra D, Bairro Portão, Cad. 19.067.002.00-0056237, CRI 31.532, Atibaia/SP. (Proc. 0602376-77.1995.8.26.0100) ( MASSA FALIDA ) AVALIAÇÃO: R$ 6.246.139,97 | LANCE MÍNIMO: R$ 3.123.069,99 (O IMÓVEL PODE SER PARCELADO COM 25% DE ENTRADA E O RESTANTE EM ATÉ 30 MESES) (Obs.: As benfeitorias encontram-se em estado de abandono, c/ a grama alta. Conforme informações uma das casas passou por incêndio, o que comprometeu a sua estrutura.) Link de Localização: https://goo.gl/maps/4Yt5hEJjb8Km4tcC7