Leilão Imóvel

Parceiro

Auket - Hub Imobiliário

Filtros

Localidade



Tipos de imóvel


Preço


Desconto (%)


Forma de Pagamento


Imóveis Caixa


Modalidade


Bancos


Data Leilão


Data de inclusão



Entre em contato conosco!

Em breve um de nossos representantes entrará em contato com você.

Forma de Contato Preferida*

Forma de pagamento*

*Campos obrigatórios, preencha-os para enviar a mensagem

Muito obrigado pelo contato!
Você receberá um email com mais informações para entrar em contato com o Leiloeiro

Deseja mesmo excluir esta anotação ?

Uma vez excluida, não é possivel recupera-la.

R$ 200.814,98

Lote De Terreno em Leilão em Monte Mor / SP - 2539369

Rua Hibisco, n. 08, Jardim Monte Verde


Valor do Imóvel

R$ 200.814,98

40%
Mais sobre o imóvel

À vista

1° Praça:

23/01/2026 às 14:00

R$ 200.814,98

2ª Praça

12/02/2026 às 14:00

R$ 120.488,99

Lote De Terreno em Leilão em Monte Mor / SP - 2539369

Rua Hibisco, n. 08, Jardim Monte Verde

Mais sobre o Imóvel
Localização: SP /Monte Mor
Leiloeiro: RMC Leilões
Código Imóvel: 2539369
Data de Inclusão: 27/10/2025
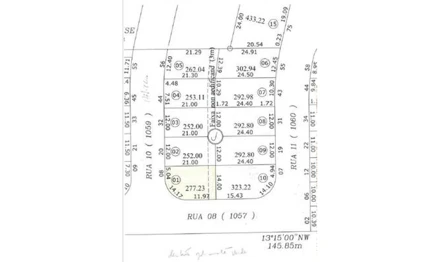
Descrição: da quadra J, do loteamento Jardim Monte Verde, no bairro Lagoa, Monte Mor/SP. Imóvel com área superficial de 277,23m², com 14,17m de desenvolvimento de curva (raio 9,00 metros) de frente para a confluência da Rua Projetada 08 com a Rua Projetada 10 e com rumo de 76.5010 SW e 5,04m de frente para a Rua Projetada 10, do lado direito de quem de dentro do lote olha para a rua, com rumo de 13.950 NW e 21,00m confrontando com o lote 02, do lado esquerdo do mesmo sentido com rumo de 13.2223 SE e 11,97m, confrontando com Rua Projetada 08, e nos fundos com rumo de 76.5010 NE e 14,00m, confrontando com o lote 10. Esse lote situa-se na quadra completada pela Rua Projetada 11. Constatação Oficial de justiça (Fls. 79 e 80 dos autos do processo): Referido imóvel trata-se de lote vazio/sem construção/sem ocupantes e está dotado de asfalto, em nível regular com a via pública para a qual faz frente. Matrícula atual: 3.610 do 1º Cartório de Registro de Imóveis de Monte Mor/SP. Endereço atual: Rua Hibisco, n. 08, Jardim Monte Verde, Monte Mor/SP (Fls. 79 dos autos do processo). Cadastro imóvel na Prefeitura Municipal de Monte Mor: 19.22.46.0010.01.0000. Informação que não consta no edital por ter sido obtida posteriormente ao seu protocolo no processo: DÉBITOS CONDOMÍNIO: R$1.876,56 (um mil, oitocentos e setenta e seis reais e cinquenta e seis centavos) em 12/12/2025. (Informação prestada pela administradora) ATENÇÃO: Os lances parcelados devem ser ofertados antes da abertura da praça (1ª ou 2ª), nos termos dos incisos I e II, do artigo 895, do C.P.C