Leilão Imóvel

Parceiro

Auket - Hub Imobiliário

Filtros

Localidade



Tipos de imóvel


Preço


Desconto (%)


Forma de Pagamento


Imóveis Caixa


Modalidade


Bancos


Data Leilão


Data de inclusão



Entre em contato conosco!

Em breve um de nossos representantes entrará em contato com você.

Forma de Contato Preferida*

Forma de pagamento*

*Campos obrigatórios, preencha-os para enviar a mensagem

Muito obrigado pelo contato!
Você receberá um email com mais informações para entrar em contato com o Leiloeiro

Deseja mesmo excluir esta anotação ?

Uma vez excluida, não é possivel recupera-la.

R$ 943.404,00

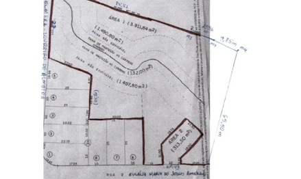
Terreno em Leilão em Sorocaba / SP - 2679381

Rua Eulália Maria de Jesus Américo, Jardim Piratininga, Sorocaba, SP


Valor do Imóvel

R$ 943.404,00

50%
Mais sobre o imóvel

À vista

1° Praça:

20/03/2026 às 08:00

R$ 943.404,00

2ª Praça

18/04/2026 às 08:00

R$ 471.702,00

Terreno em Leilão em Sorocaba / SP - 2679381

Rua Eulália Maria de Jesus Américo, Jardim Piratininga, Sorocaba, SP

Documentos

Verificar no site do Leiloeiro

Mais sobre o Imóvel
Leiloeiro: Grupo Lance
Código Imóvel: 2679381
Data de Inclusão: 03/02/2026
Descrição: ALIENAÇÃO POR INTERMÉDIO DE LEILOEIRO PÚBLICO (ARTS. 879 e 880 DO CPC) PROCURADORIA DA FAZENDA NACIONAL - COMPREI O INTERESSADO EM ARREMATAR O BEM DEVERÁ OFERTAR SEU LANCE NO LINK ABAIXO: https://comprei.pgfn.gov.br/anuncio/detalhe/65115 No link estão disponíveis todas as condições do negócio e a disputa de lances. O presente site possui caráter meramente informativo, LANCES OFERTADOS AQUI NÃO SÃO VÁLIDOS. ATENÇÃO - LEIA ATENTAMENTE AS INFORMAÇÕES ABAIXO: 1) O COMPREI NÃO É UM SITE DE LEILÕES; TRATA-SE DE UM SISTEMA DE CAPTAÇÃO DE PROPOSTAS ADMINISTRADO PELA PROCURADORIA DA FAZENDA NACIONAL. PORTANTO, NÃO HÁ PRORROGAÇÃO DE TEMPO PARA PROPOSTAS FEITAS NO ÚLTIMO MINUTO. O VENCEDOR SERÁ AQUELE QUE APRESENTAR A MAIOR PROPOSTA ATÉ ÀS 08:00:00 DA DATA DE ENCERRAMENTO; 2) A PARTIR DA DATA DE ABERTURA DA VENDA, É POSSÍVEL OFERTAR LANCES PELO VALOR DE AVALIAÇÃO OU SUPERIOR NA MODALIDADE COMPRA IMEDIATA”. A MAIOR PROPOSTA FEITA ATÉ ÀS 08:00:00 DO DIA SEGUINTE SERÁ A VENCEDORA; 3) CASO NÃO SEJAM RECEBIDAS PROPOSTAS PELO VALOR DE AVALIAÇÃO OU SUPERIOR ATÉ ÀS 08:00H, ABRE-SE O PRAZO PARA RECEBIMENTO DE PROPOSTAS A PARTIR DO VALOR MÍNIMO. A MAIOR PROPOSTA APRESENTADA SERÁ A VENCEDORA NA DATA DE ENCERRAMENTO DA PRIMEIRA FASE DE PROPOSTAS. NO ENTANTO, A QUALQUER MOMENTO, É POSSÍVEL OPTAR PELA COMPRA IMEDIATA” BASTANDO OFERTAR O VALOR DE AVALIAÇÃO DO BEM; 4) NA MAIORIA DOS CASOS, É POSSÍVEL PARCELAR O PAGAMENTO (25% DE ENTRADA + 59 PARCELAS COM BASE NA TAXA SELIC + 1% AO MÊS SOBRE O VALOR DA PARCELA). CONSULTE-NOS PARA VERIFICAR SE ESSA OPÇÃO SE APLICA AO PRESENTE CASO; 5) AS DATAS PODEM SOFRER ALTERAÇÕES SEM AVISO PRÉVIO, SEMPRE CONSIDERE COMO OFICIAL A DATA DISPONÍVEL NO COMPREI; 6) ESTUDE O BEM ANTES DE OFERTAR O LANCE, TENHA CERTEZA DA AQUISIÇÃO; 7) ANTES DE OFERTAR SEU LANCE, VERIFIQUE SE O VENDEDOR É IGOR BARROS DE MIRANDA CARVALHO, REGISTRADO NA JUCERJA SOB O NÚMERO 242, NO CANTO INFERIOR DIREITO; 8) AUXILIAMOS OS ARREMATANTES EM TODAS AS ETAPAS DO COMPREI; 9) NÃO AUXILIAMOS ARREMATANTES QUE REALIZARAM A COMPRA COM OUTROS INTERMEDIÁRIOS; 10) DEVOLVEMOS A COMISSÃO RECEBIDA CASO O LEILÃO SEJA DESFEITO, APÓS A DECISÃO JUDICIAL. 11) QUER SABER A MELHOR ESTRATÉGIA PARA DISPUTAR LANCES E ARREMATAR, ENTRE EM CONTATO CONOSCO. DESCRIÇÃO DO BEM: Imóvel matriculado sob o nº: 51.692 no 1º RGI de Sorocaba/SP. CONDIÇÕES GERAIS DA VENDA VIA COMPREI: a) O bem será vendido no estado de conservação em que se encontram (ad corpus), sem garantia, constituindo ônus do interessado verificar suas condições, antes de ofertar lance, não podendo alegar posteriormente desconhecimento das condições, características e estado de conservação; b) Débitos: Ficam sub-rogados no preço os créditos tributários relativos a impostos, cujo fato gerador seja a propriedade, o domínio útil ou a posse de bens imóveis, tais como IPTU, bem assim os relativos a taxas pela prestação de serviços referentes a tais bens ou a contribuições de melhoria, nos termos do art. 130, parágrafo único do CTN, assim como eventuais outros débitos, observada a ordem de preferência, consoante previsão contida no art. 908, §1º do CPC. c) AS IMAGENS DISPONÍVEIS NO SITE SÃO MERAMENTE ILUSTRATIVAS, NÃO SERVINDO COMO PARÂMETRO PARA A VENDA; DÚVIDAS FREQUENTES: 1) É POSSÍVEL VISITAR O BEM? Não, o imóvel pertence ao executado e ele não é obrigado a mostrar o bem. Nada impede uma visita as redondezas. 2) QUAL A FORMA DE PAGAMENTO? Somente dinheiro, não são aceitos carta de crédito, financiamento bancário etc. 3) COMO FICA A QUESTÃO DE OUTRAS PENHORAS NA MATRÍCULA DO IMÓVEL? Após a arrematação o Magistrado determinará que o Oficial de Registro Imobiliário proceda, independentemente do pagamento de custas, taxas e emolumentos, à baixa e liberação de todo e qualquer ônus/gravame (hipotecas, encargos, penhoras etc), inclusive de outros Juízos, incidente sobre o bem descrito acima e cujo registro seja anterior a arrematação. É encargo do adquirente, contudo, as custas e emolumentos referentes ao registro da propriedade, e a comprovação do pagamento do Imposto sobre Transmissão de Bens Imóveis - ITBI. PARA MAIS INFORMAÇÕES COMO OFERTA DE LANCES, PARCELAMENTO, DOCUMENTAÇÃO ATUALIZADA, LOCALIZAÇÃO, DENTRE OUTRAS, ENTRE EM CONTATO CONOSCO ATRAVÉS DO SITE: WWW.GRUPOLANCE.COM.BR, WHATSAPP (11.3003.0577 OU 21 97957.7200) OU E-MAIL: [email protected] . Aviso Legal Todas as informações neste portal são meramente de caráter informativo não tendo valor judicial salvo os Editais Judiciais publicados juntamente com os lotes. (Quando aplicável.) A descrição do lote é uma cópia fiel das informações fornecidas pelos cartórios, comitente ou outro órgão responsável. Os bens serão vendidos no estado em que se encontram. Reservamo-nos o direito de corrigir possíveis erros de digitação. Aquele que tentar fraudar a arrematação, além da reparação do dano na esfera cível - arts. 186 e 927 do Código Civil - ficará sujeito as penalidades do artigo 358 do Código Penal: Art. 358 - Impedir, perturbar ou fraudar arrematação judicial; afastar ou procurar afastar concorrente ou licitante, por meio de violência, grave ameaça, fraude ou oferecimento de vantagem: Pena - detenção, de 2 (dois) meses a 1 (um) ano, ou multa, além da pena correspondente à violência